Leave a Message

Thank you for your message. We will be in touch with you shortly.

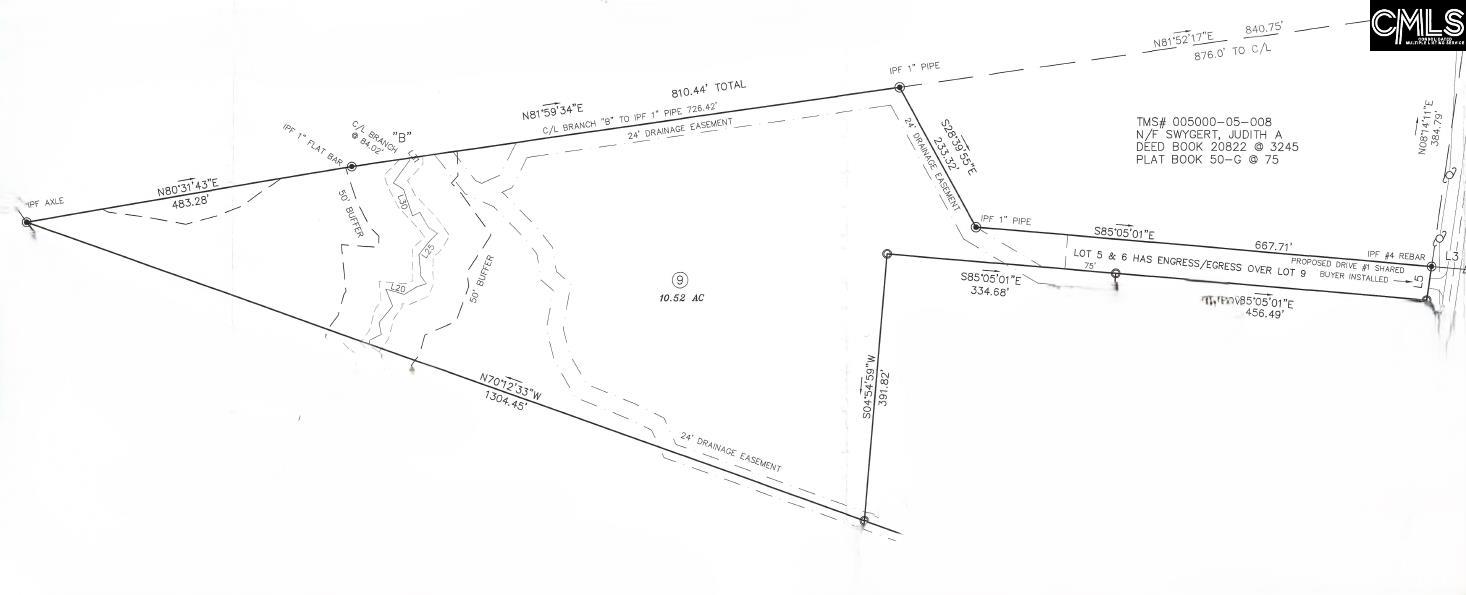
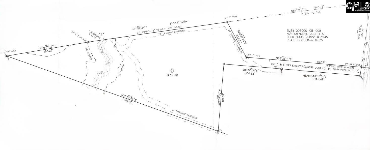
TBD Old Field Road 9
Pending

TBD Old Field Road 9

TBD Old Field Road 9, Leesville, SC 29070

$199,000
Lot number 9 consists of a 10.52 acre parcel being offered as part of a 9 lot development of large lots. Beautiful, wooded lot offering privacy and space! Conveniently located 1 mile off of Hwy 1 near the new Lexington West County offices. New water line installed at road should be active in the coming months. Lot sizes and lines subject to change based on jurisdictional approvals. Light restrictions will apply. No manufactured homes. Buyer or Buyer's builder will be responsible for meeting county requirements for stormwater control per lot. Engineer of record is shown on survey. Portion of TMS 00500005009 Owner/Agent. Disclaimer: CMLS has not reviewed and, therefore, does not endorse vendors who may appear in listings.

10.52 Acres lot

Reggie Enlow

Reggie Enlow

Features & Amenities

Area & Lot

  • Status Pending
  • Lot Area10.52 Acres
  • MLS® ID622320
  • TypeLand
  • Elementary SchoolBatesburg-Leesville
  • Middle SchoolBatesburg-Leesville
  • High SchoolBatesburg-Leesville
  • School DistrictLexington Three

Exterior

  • water SourceWell-Public Available
  • sewerNone

Financial

  • Sales Price$199,000
image

Schedule a Showing

We would love to show you our beautiful property. Please select your preferred date and time below. An agent will be in touch shortly to confirm your appointment.

Schedule a Showing

We would love to show you our beautiful property. Please select your preferred date and time below. An agent will be in touch shortly to confirm your appointment.

Thank you for your interest in TBD Old Field Road 9, Leesville, SC 29070. We are reviewing your request and will be in touch shortly!

Mortgage Calculator

Estimate your monthly mortgage payment, including the principal and interest, property taxes, and HOA. Adjust the values to generate a more accurate rate.

All estimates are provided for informational purposes only. Actual amounts may vary.
$0,000 Your Payment 20 15 65
$0,000 Your Payment

Work With Us

Our leadership team offers decades of experience in real estate development. Learn how our expert team can help bring your vision to life. Work with professionals who prioritize quality, innovation, and community growth.

Follow Us on Instagram